Οι αρχές των Φιλιππίνων διέταξαν περισσότερους από 70.000 ανθρώπους να εκκενώσουν τις περιοχές στα ανατολικά και κεντρικά της χώρας και απαγόρευσαν στους ψαράδες να βγουν στη θάλασσα σήμερα Δευτέρα, καθώς ο τυφώνας Καλμέντζι πλησιάζει από τον Ειρηνικό. Οι αρχές προειδοποίησαν για καταρρακτώδεις βροχές, πιθανές θανατηφόρες καταιγίδες και παλιρροϊκά κύματα.
TROPICAL CYCLONE BULLETIN NR. 6
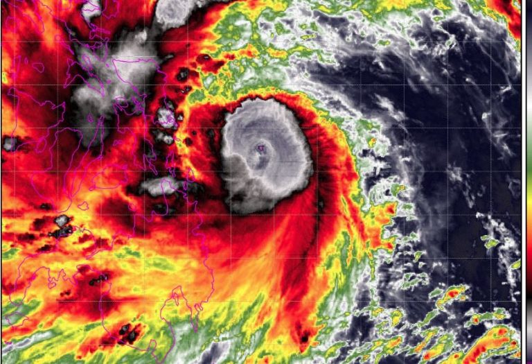
Typhoon #TinoPH (KALMAEGI)
Issued at 11:00 AM, 03 November 2025
Valid for broadcast until the next bulletin at 2:00 PM today.
“TINO” INTENSIFIES INTO A TYPHOON.
Link: https://t.co/g0TZ6CDlmV pic.twitter.com/YbjRffqd2d— PAGASA-DOST (@dost_pagasa) November 3, 2025
Ο τυφώνας Kalmaegi ή Tino, όπως τον αποκαλούν οι ντόπιοι, εντοπίστηκε περίπου 235 χλμ. ανατολικά της πόλης Γουιουάν (Guiuan), με ανέμους που έφταναν τα 120 χλμ. την ώρα και ριπές έως 150 χλμ. την ώρα.
Kalmaegi (TinoPH) is now a Category 1 system, sustaining winds of 80 mph (130 kph) and a pressure of 985 mbar. He’s exhibiting the classic signature of a southerly November Typhoon, with a curved, arcing rainband feeding into the overshooting cloud tops of the compact core. Time… pic.twitter.com/1I1mR3up19
— Backpirch Weather (@BackpirchCrew) November 3, 2025
Σύμφωνα με τα προγνωστικά στοιχεία αναμένεται να κινηθεί προς τα δυτικά κατά τη διάρκεια της νύχτας και την Τρίτη και να πλήξει τις κεντρικές επαρχίες του νησιού, συμπεριλαμβανομένου του Σεμπού, το οποίο εξακολουθεί να ανακάμπτει από τον σεισμό μεγέθους 6,9 Ρίχτερ που έπληξε την περιοχή στις 30 Σεπτεμβρίου και άφησε τουλάχιστον 79 νεκρούς και χιλιάδες άστεγους μετά την κατάρρευση των σπιτιών τους.
Pitogo Port in President Carlos P. Garcia ( Philippines) is currently experiencing heavy rain and strong winds under Signal No. 3 due to Typhoon Tino. 📷 Jmark Quijano
— Weather Monitor (@WeatherMonitors) November 3, 2025
Coastal residents are advised to stay alert for possible storm surges and rough seas. #TinoPh #Kalmaegi pic.twitter.com/DaNfoqHPm6
Ο Kalmaegi προβλέπεται να ενισχυθεί περαιτέρω πάνω από τη Θάλασσα των Φιλιππίνων πριν χτυπήσει την πόλη Γουιουάν και γειτονικούς δήμους. Ο κυβερνήτης της περιοχής εξέδωσε υποχρεωτικές εντολές εκκένωσης που θα επηρεάσουν περισσότερους από 70.000 κατοίκους στις παράκτιες πόλεις Guiuan, Mercedes και Salcedo καθώς υπάρχει προειδοποίηση για παλιρροιακά κύματα ύψους έως 3 μ.
Latest track from JMA has #typhoon #tinoph / #Kalmaegi ashore close to Abuyog, so I’m waiting here for now. Storm is firing EXTREMELY cold cloud tops, close to -100C at times. Remember, the typhoon’s core is pretty small, so any wobbles could mean big difference in impacts pic.twitter.com/UuHH9clPm7
— James Reynolds (@EarthUncutTV) November 3, 2025
Οι Φιλιππίνες πλήττονται από περίπου 20 τυφώνες και έντονες καταιγίδες κάθε χρόνο. Ως σεισμογενής περιοχή που έχει περισσότερα από δώδεκα ενεργά ηφαίστεια είναι μία από τις χώρες με τη μεγαλύτερη ευπάθεια σε καταστροφές στον κόσμο.
Πηγή: The Associated Press
Κάνε like στη σελίδα μας στο Facebook
Ακολούθησε μας στο Twitter
Κάνε εγγραφή στο κανάλι μας στο Youtube
Γίνε μέλος στο κανάλι μας στο Viber
– Αναφέρεται ως πηγή το ertnews.gr στο σημείο όπου γίνεται η αναφορά.
– Στο τέλος του άρθρου ως Πηγή
– Σε ένα από τα δύο σημεία να υπάρχει ενεργός σύνδεσμος